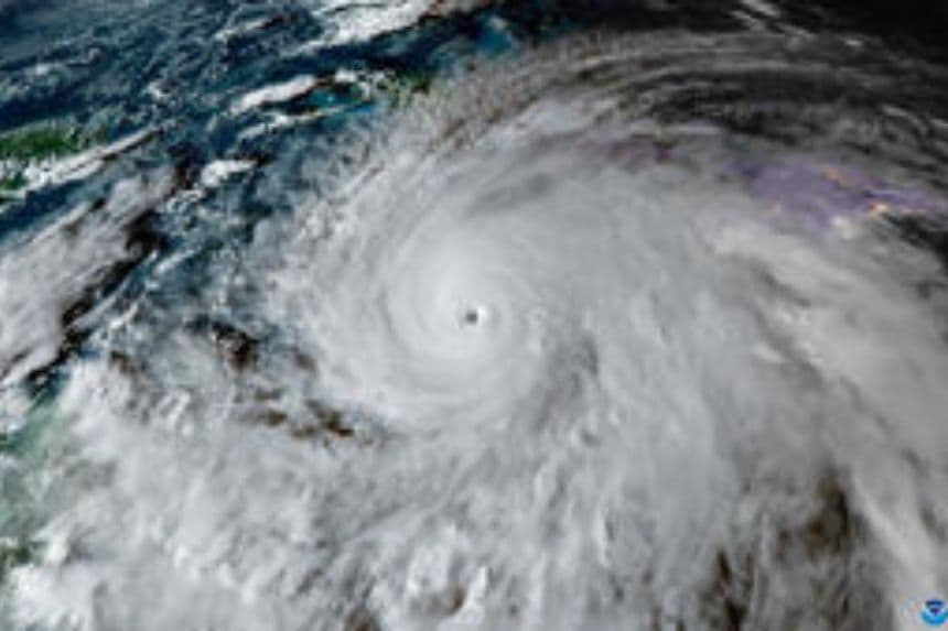
Según el Centro Nacional de Huracanes, Jamaica acaba de sufrir uno de los huracanes más potentes jamás registrados en la cuenca atlántica.
El huracán Melissa tocó tierra en el suroeste de Jamaica, cerca de New Hope, alrededor de la 1 p. m. ET del 28 de octubre, como un huracán catastrófico de categoría 5, con vientos máximos sostenidos de 185 mph.
El Centro Nacional de Huracanes envió una última advertencia a las 12 p. m. en la que decía: "ESTA ES UNA SITUACIÓN EXTREMADAMENTE PELIGROSA Y QUE PONE EN PELIGRO LA VIDA".
"No salgan de sus refugios mientras pase el ojo de la tormenta, ya que los vientos aumentarán rápida y bruscamente al otro lado del ojo. Los residentes deben permanecer en sus lugares hasta que pase esta situación que pone en peligro sus vidas".
La llegada a tierra solo se refiere a la llegada del ojo de la tormenta a tierra firme y la destrucción causada por el huracán Melissa comenzó a descender sobre la isla días antes. Los vientos con fuerza de tormenta tropical (de 39 a 73 millas por hora) se extendieron a casi 200 millas del centro de la tormenta y se registraron vientos con fuerza de huracán (de 74 millas por hora o más) a 30 millas de distancia.
Melissa es la tormenta más fuerte que azota la isla desde que se empezaron a registrar estos datos hace 174 años.
"No hay ninguna infraestructura en la región que pueda soportar un huracán de categoría 5", declaró el primer ministro jamaicano, Andrew Holness, durante una rueda de prensa horas antes de la tormenta. "La cuestión ahora es la velocidad de la recuperación. Ese es el reto".
El Centro Nacional de Huracanes aconsejó a los jamaicanos que se protegieran del viento con tantas paredes como fuera posible, e incluso sugirió que se cubrieran con un colchón y se pusieran un casco para mayor protección.
Los vientos máximos sostenidos alcanzaron los 298 km/h apenas unas horas antes de tocar tierra, lo que convirtió a Melissa en un huracán de categoría 5 extremadamente poderoso. Además del viento, se espera que caigan entre 38 y 76 cm de lluvia en algunas partes de la isla, y que algunas zonas reciban hasta 102 cm.
El centro dijo que era probable que se produjeran "fallos estructurales totales" debido a los vientos catastróficos cerca de la trayectoria del centro de Melissa. Se esperaba que el resto de la isla sufriera inundaciones repentinas y deslizamientos de tierra catastróficos, lo que provocaría cortes de electricidad y comunicaciones, daños en las infraestructuras y el aislamiento de algunas comunidades.
"Es probable que se produzcan fallos estructurales totales cerca de la trayectoria de Melissa, especialmente en las zonas más elevadas, donde la velocidad del viento en la cima y en los lados de barlovento de las colinas y montañas podría ser hasta un 30 % más fuerte", advirtió el Centro Nacional de Huracanes. "No se aventuren a salir al ojo, ya que los vientos aumentarán rápidamente en la parte trasera de la pared del ojo".
Michael Brennan, director del Centro Nacional de Huracanes, advirtió que las montañas más altas de Jamaica podrían sufrir ráfagas de viento de hasta 200 millas por hora.
"Es una situación catastrófica la que se está viviendo aquí en Jamaica", dijo.
Los videos publicados en las redes sociales ya mostraban inundaciones repentinas y fuertes vientos.
El 27 de octubre, se habían abierto más de 130 refugios en toda la isla y se ordenaron evacuaciones obligatorias en siete comunidades, entre ellas Port Royal, Kingston, Portland Cottage y Rocky Point, en Clarendon, Old Harbour Bay, St. Catherine y Riverton, New Haven, Taylor Land, Bull Bay y St. Andrew.
El Aeropuerto Internacional Norman Manley de Kingston y el Aeropuerto Internacional Ian Fleming de Ocho Ríos cerraron el 25 de octubre y el Aeropuerto Internacional Sangster de Montego Bay tenía previsto cerrar al mediodía del 26 de octubre.
Los equipos de respuesta y recuperación ante desastres pudieron prepararse en la isla antes de la llegada de Melissa.
"Nuestros equipos se encuentran ahora mismo sobre el terreno en Jamaica", dijo United Cajun Navy en una publicación del 27 de octubre. Este grupo de propietarios de embarcaciones voluntarios con sede en EE. UU. colabora en las labores de búsqueda y rescate.
"Estamos inspeccionando los barrios, evaluando las posibles necesidades y familiarizándonos con las zonas que se verán más afectadas. Se trata de las comunidades que se encuentran en la trayectoria del huracán Melissa", dijo el grupo.
Se espera que el centro de Melissa complete su travesía por Jamaica el 29 de octubre, pero no se detendrá allí.
El Centro Nacional de Huracanes prevé que Melissa se desplace hacia Santiago de Cuba y el este de Cuba durante la noche, todavía como un huracán de gran intensidad. Haití, las Bahamas y las islas Turcas y Caicos también se verán afectadas.
"Se espera que las condiciones de tormenta tropical comiencen en el este de Cuba esta tarde, con condiciones de huracán en la zona de alerta de huracanes a partir de esta noche y hasta la mañana del miércoles", advirtió el centro en su aviso de las 11 de la mañana del 28 de octubre. "Se esperan condiciones de tormenta tropical en Haití a lo largo del día de hoy y el miércoles".
Se esperan condiciones de huracán en el sureste y centro de las Bahamas el miércoles. Se esperan condiciones de tormenta tropical y es posible que se den condiciones de huracán en las islas Turcas y Caicos el miércoles".
En cuanto a las precipitaciones, se esperaba que Cuba recibiera hasta 50 centímetros de lluvia, con algunas zonas llegando a los 63 centímetros, lo que podría provocar inundaciones repentinas y deslizamientos de tierra. Se esperaba que el sur de las Bahamas recibiera hasta 25 centímetros de lluvia.
Una marejada ciclónica de hasta 12 pies podría azotar Cuba y una marejada de 8 pies podría azotar el sur de las Bahamas.
Con información de Associated Press.
Únase a nuestro canal de Telegram para recibir las últimas noticias al instante haciendo click aquí
















